Until next season


There were several introductory fish encounters during our stay in the Bahamas.  I saw two different types of jawfish for the first time.  The first sighting, I mis-identified as a dusky jawfish.  I went back to the same area and found these jawfish several more times by finding their telltale burrows lined with rocks and shells.  They are still quite wary.





The 4th edition Reef Fish ID book has added a banded jawfish, which is the correct identification, since dusky jawfish do not line their holes with rocks and banded jawfish do.  



Since reef ecosystems rarely change quickly (unless catastrophic), I’ll be sure to go back to visit them again next season.








The other adorable jawfish was spotted just as my former camera was failing and I only got a few photos in before it died for good.  This yellowhead jawfish was not shy at all and hovered over his hole for posing, before returning to his hole as I got closer.







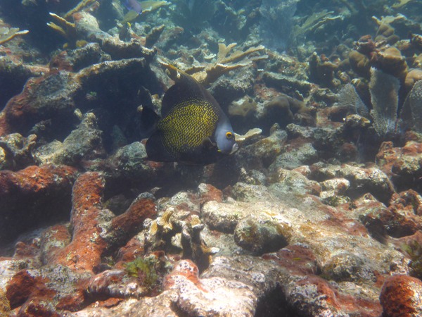
The usual suspects were there for my last few dives to say farewell for the season… barracuda, bar jacks, angelfish (gray, queen, french), white margates, fairy basslets, Nassau grouper, hogfish...












There were a few exciting drive-bys in the vicinity with a cero mackerel, turtle, tarpon (!) and lemon shark (!!) swimming past.  They are harder to photograph well, so perhaps having a GoPro will help capture these times better.















Another first for me this year was in spotting two fingerprint cyphomas.  

















Unlike the flamingo tongue, spotted cyphoma that we see very frequently, the Reef Creature ID book says that fingerprint cyphoma are rare, meaning that sightings are fairly exceptional.









I’ll close this underwater portion of our blog (...until next season) with some of my favorite reef critters ~ anemone, coral, shrimp & blennies!! 


Branching anemone



Spotted cleaner shrimp ~ berried



Roughhead triplefin



Great star coral



Pederson cleaner shrimp ~ berried



Saddled blenny



Giant anemone



Squat shrimp



Knobby anemone



Redlip blenny



Mantis shrimp



© M&M 2019